photo by Cerlin Ng
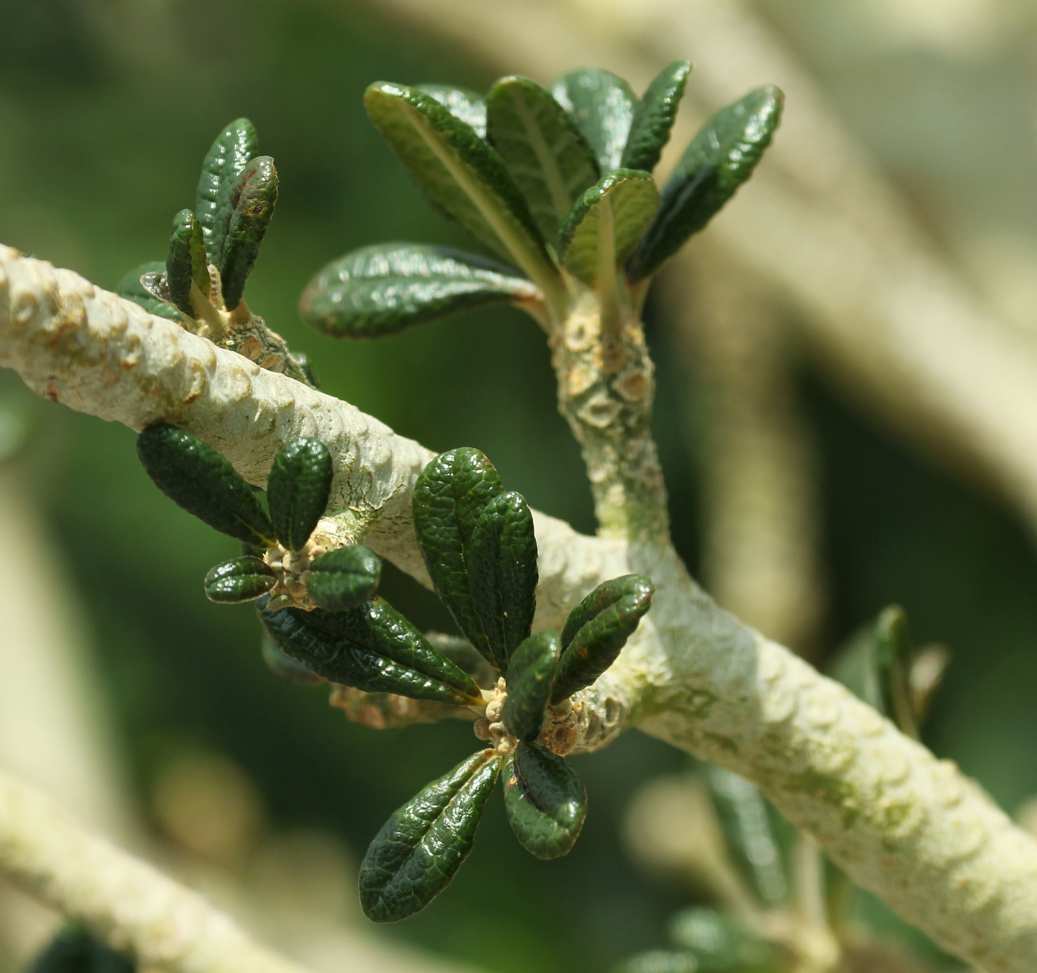
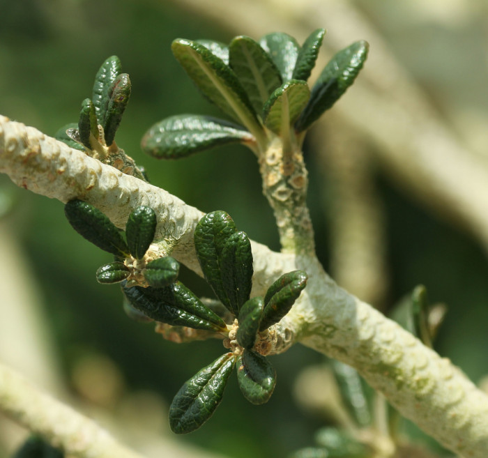
거대한 산호 같은 모양으로 성장하는 작은 식물로 높이는 2-5m 직경은 50~150cm까지 자란다.
사막의 장미와 유사한 형태로 자란다.
씨앗 자체가 고가이며 식물 또한 고가인 식물
도스테니아기가스, 기가스, DorsteniaGigas, Succulent Fig, 다년생, PerennialPlant, 다육, 아열대
12월 08일
등록 닫기