Musa itinerans
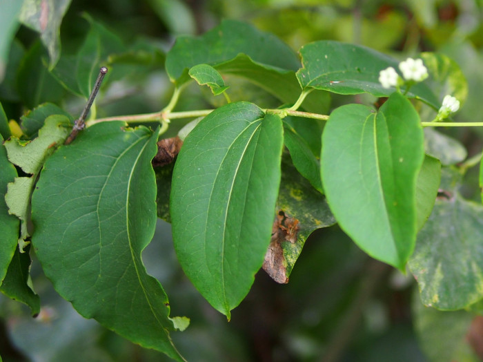
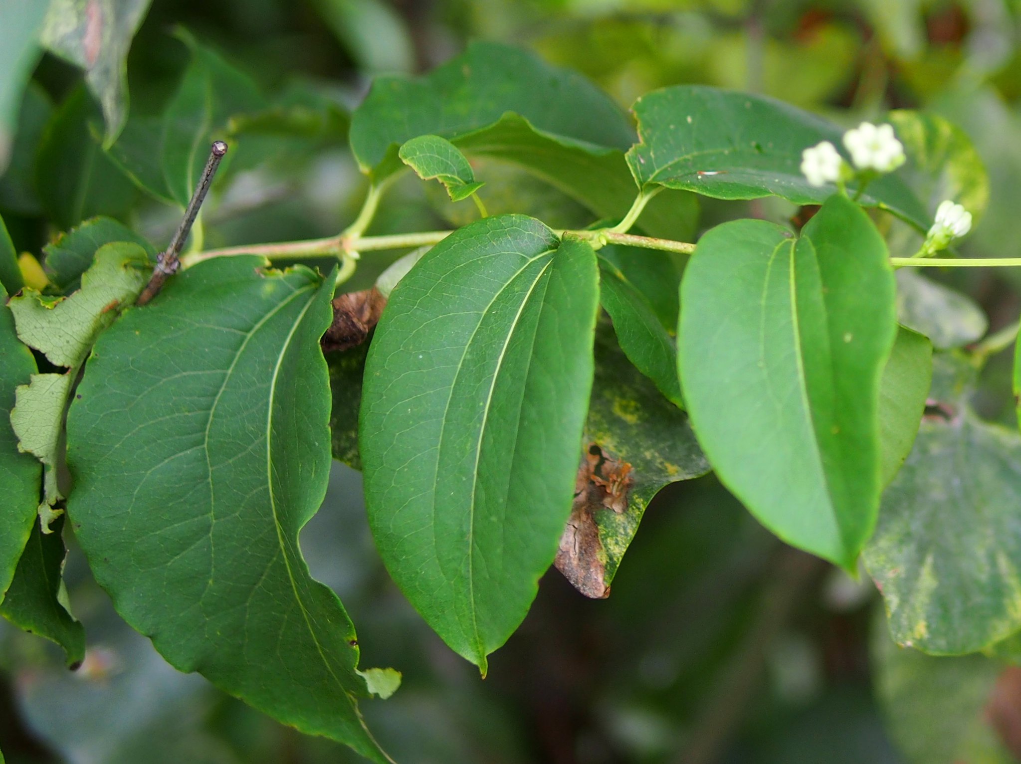
칠자화 Seven sonflower Heptacodium miconioides | 식물명 | 칠자화 |
|---|---|
| 학 명 | Heptacodium miconioides |
| 영문명 | Seven Son Flower |
| 과 | 인동과 |
| 원산지 | 중국 |
| 다년초여부 |
|
| 기타 |
|
| 꽃색 | |
| 번식법 | 씨앗 삽목 |
| 잎종류 | |
| 생육최저온도 | -35℃ |
칠자화, HeptacodiumMiconioides, SevenSonFlower